Utility Mapping

Get a Quote

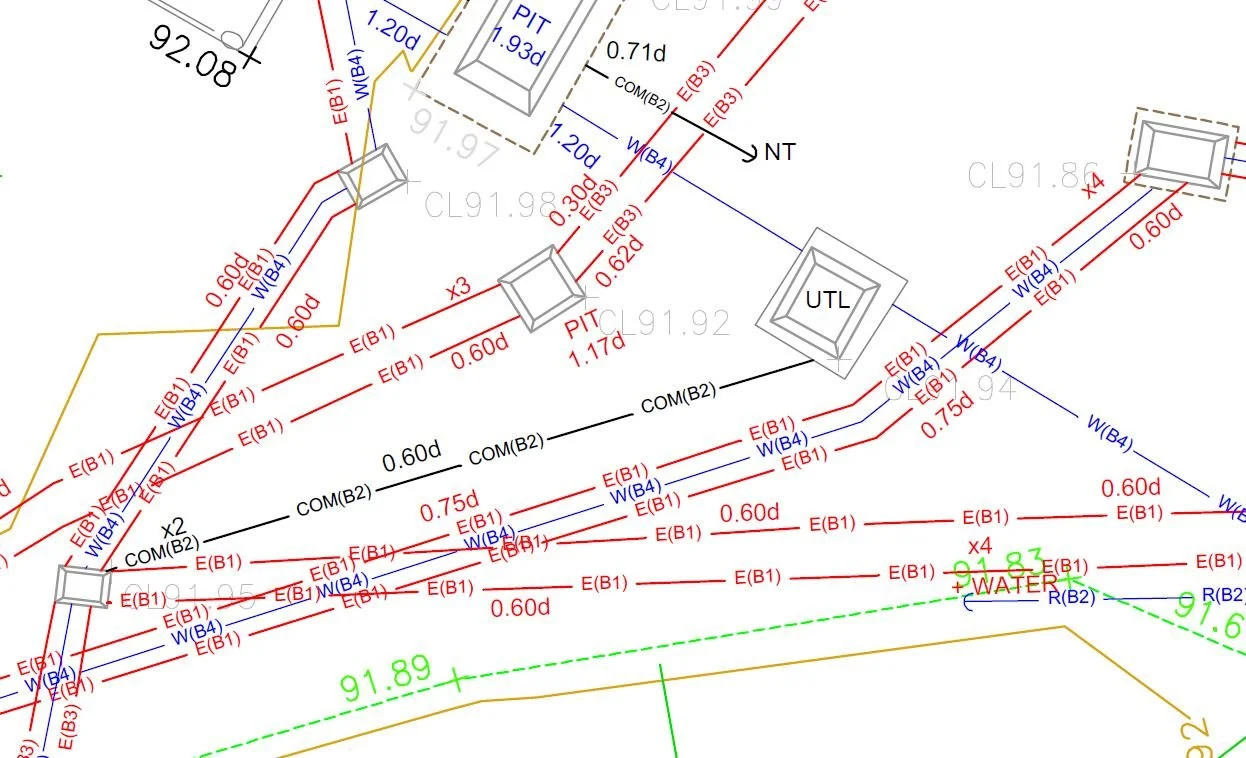
At Mole Group, we understand that what lies beneath the surface is often just as crucial as what's visible above it. Our Utility Mapping Services are designed to provide comprehensive insights into the intricate network of underground utilities, including electricity cables, gas pipelines, water mains, and telecommunication lines.

Using advanced Ground Penetrating Radar (GPR) Scans and other advanced technologies, we can accurately detect and map out these hidden assets. Our services are aligned with the highest industry standards, including PAS 128 Mapping, ensuring that all data we provide is precise and reliable.

Why Utility Mapping Matters

Beneath our feet lies a complex web of utility lines and infrastructure that power our towns and cities, deliver essential services, and support countless operations. However, these critical assets are often invisible, posing a significant challenge to anyone involved in construction, development, or maintenance projects. Damaging a utility line not only leads to costly repairs but can also pose serious safety hazards. That's why our Utility Mapping Services, backed by precise Utility Drawings and detailed Statutory Undertakers Plans, are essential for ensuring safety and avoiding costly disruptions.

Key Features of Our Utility Mapping Services:

  1. Comprehensive Surveys:

    Mole Group conducts thorough Utility Surveys using advanced techniques like Ground-Penetrating Radar (GPR) and electromagnetic detection. We accurately map underground utilities such as gas, water, electricity, and telecommunications to ensure precise project planning.

  2. Accurate Data Interpretation:

    Our skilled analysts transform survey data into detailed utility maps, showing the exact location, depth, and type of underground utilities. This accuracy helps prevent accidental strikes during construction, enhancing safety and compliance.

  3. Risk Mitigation:

    With Mole Group’s precise utility mapping, you can effectively mitigate risks associated with underground utilities. Knowing the exact locations of utilities helps you avoid costly mistakes and safety hazards, keeping your project on track and within regulations.

  4. Cost Savings:

    Accurate utility mapping also leads to significant cost savings. By avoiding unnecessary utility relocations, design changes, and project delays, you streamline your operations and reduce overall expenses, ensuring a more efficient project execution.

Contact us about our Utility Mapping service by calling or completing our form:

Call - 0333 3359929
Make an enquiry

Choose Mole Groups for Unveiling the Invisible

At Mole Group, we pride ourselves on providing industry-leading utility mapping services that empower our clients to work smarter, safer, and more efficiently. With our expertise in Utility Scans, detailed DNO Drawings, and a team of experienced Mapping Experts, we are committed to accuracy, innovation, and client satisfaction. We're your trusted partner for navigating the intricate world beneath the surface. Contact us today to learn more about how our utility mapping services can transform your projects.